?>

Terreno à Venda em pato Branco - PR Bairro Vila Isabel, próximo a Tocantins.

Ref: 2022
Área do Terreno
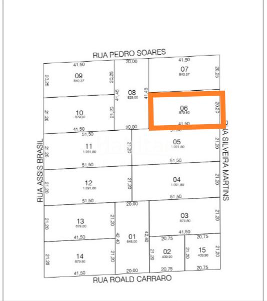
879,80m²
Descrição

Edifique seu sonho neste terreno!

Loacalizado próximo a Tocantins, região de expansão da cidade.

Possui 879,80m2, sendo 20,20 metros de frente e 41,50 de profundidade.

Venda

R$ 880.000,00

Enviar mensagem
Thank you! Your submission has been received!
Oops! Something went wrong while submitting the form.